тип
веревка
Торнадо могут быть вызваны двумя типами штормов: те, которые являются суперячейками, и те, которые не являются таковыми. Одним из торнадо, образовавшихся во время грозы суперячеек, является веревка, которая характеризуется чрезвычайно тонкой и длинной. Его внешний вид напоминает веревку.
Это один из самых распространенных торнадо. Несмотря на небольшой размер, этот тип торнадо способен нанести серьезный ущерб на своем пути. Это характерно как для начальной, так и для конечной фаз этого типа природных явлений..
Конус или клин
Этот тип торнадо имеет своей основной характеристикой, что наконечник, который касается земли, уже, чем тот, который находится в контакте с самой бурей..
Ущерб, который он наносит, намного больше, чем тот, который мог бы принести торнадо из веревки, потому что больший диаметр способен тянуть больше объектов на своем пути. Подобно вихрю веревки, этот тип естественного события формируется после шторма суперячейки.
Multivórtices
Этот тип вихря характеризуется образованием двух или более одновременных штормовых волн, которые являются общими для торнадо. Вихри, которые образуются рядом с основным торнадо, имеют тенденцию расширять области, которые могут достигать, что также наносит значительный ущерб на его пути.
спутник
В отличие от многогранных торнадо, торнадо спутникового типа не зависят от основного торнадо, что усиливает воздействие, оказываемое на окружающую среду..
Этот тип природного явления чрезвычайно необычен и имеет свое происхождение в шторме суперячейки.
Морские тромбозы
Водосточные трубы, более известные как «водосточные трубы», являются источниками воды. В пределах этой категории есть два типа: те, которые возникают в результате грозы, и те, которые не.
Водосточные трубы, возникающие из-за грозы, образуются так же, как торнадо, и способны тонуть корабли и сотрясать моря в зависимости от их интенсивности. С другой стороны, те, которые не возникают в результате грозы, представляют гораздо меньший риск.
Земные тромбоны
Landspouts – небольшие торнадо, которые формируются без необходимости шторма, поэтому они не являются суперячейками.
Как и водосточные трубы, наземные слабые, длятся недолго и имеют небольшой вихрь. Его характеристики означают, что большинство случаев не могут нанести значительный ущерб.
Gustnado
Многие ученые считают, что этот тип водоворота не относится к группе торнадо; однако другие квалифицируют его как один из вихрей, которые не являются суперячейками.
Этот тип погодного явления характеризуется тем, что он представляет собой водоворот, интенсивность которого значительно ниже интенсивности другого вихря, поэтому он не наносит значительного ущерба..
Вихрь пыли
Вихрь пыли, также известный как пыльный дьявол, это ветровой поток, который собирает песок или пыль с земли. Его происхождение не связано со штормами, напротив, они могут образовываться в хороших климатических условиях; особенно когда есть интенсивная солнечная радиация в дни с холодными ветрами.
Хотя многие не считают его торнадо, этот тип водоворота может нанести значительный структурный ущерб.
Водоворот огня
Этот конкретный тип водоворота может образовываться вблизи пожаров и может присоединиться к кучево-дождевым облакам. Вихрь огня (или огненный дьявол) характеризуется как столб огня, который поднимается к небу, что приводит к высокому риску из-за распространения пламени.
Паровая вихрь
Паровые вихри, также известные как паровые дьяволы, Они крайне редки. Они идентифицируются как столбы дыма или пара, которые могут образовываться в таких местах, как горячие источники или пустыни.
Важные особенности торнадо
| 1. | Конусообразная форма. Торнадо имеет характерную конусообразную форму и образуется из грозового облака, известного как суперклетка. |
| 2. | Сильные ветры. В центре торнадо ветры могут достигать скорости свыше 480 километров в час, что делает его одним из самых опасных природных явлений. |
| 3. | Вращение. Торнадо вращается вокруг своей вертикальной оси, создавая смерчевой столб, который может быть виден в виде его конусообразной формы. Вращательное движение является одной из главных характеристик торнадо. |
| 4. | Кратковременность. Торнадо обычно существует в течение нескольких минут или часов и может пройти небольшое расстояние, но его воздействие может быть катастрофическим. |
| 5. | Уничтожение. Торнадо способен нанести огромный ущерб, разрушая здания, вырывая деревья и переворачивая автомобили. Он также может привести к гибели и травмированию людей. |
Изучение этих особенностей помогает ученым лучше понять природу торнадо и разработать методы предупреждения и защиты от этого опасного явления.
Смерч, ураган и торнадо: системы предупреждения и безопасность
Смерч, ураган и торнадо — это сильные атмосферные явления, которые представляют опасность для людей и инфраструктуры. Для обеспечения безопасности населения и минимизации ущерба системы предупреждения и безопасности играют важную роль.
Системы предупреждения:
- Предупреждающие сообщения: При приближении смерча, урагана или торнадо население предупреждается через различные каналы связи, такие как радио, телевидение, сотовые телефоны и специализированные метеорологические сервисы.
- Метеорологические радары: Метеорологические службы имеют специальные радары, которые могут обнаружить формирование смерча, урагана или торнадо. Эти данные используются для предупреждения населения и принятия мер безопасности.
- Системы раннего обнаружения: Современные системы раннего обнаружения позволяют детектировать формирование смерча, урагана или торнадо задолго до того, как они достигнут населенных пунктов. Это позволяет организовать эвакуацию и принять соответствующие меры по безопасности.
Меры безопасности:
- Укрытие: В случае предупреждения о приближении смерча, урагана или торнадо, население должно немедленно искать безопасное место для укрытия. Это может быть подвал, погреб, крепкий здание или специальные укрытия, предназначенные для защиты от сильных ветров.
- Готовность к эвакуации: В случае крупных ураганов и торнадо, когда укрытие недоступно или небезопасно, может потребоваться эвакуация населения. Гражданам следует заранее знать, где находятся ближайшие убежища и маршруты эвакуации.
- Следование инструкциям: Населению следует тщательно следовать инструкциям и рекомендациям метеорологических служб и правительственных органов в случае предупреждения о приближении сильных атмосферных явлений. Это поможет избежать опасности и минимизировать риски.
- Подготовка и планирование: Жители регионов, подверженных смерчам, ураганам и торнадо, должны быть готовы к таким ситуациям. Это включает создание запасов продовольствия, воды, медикаментов, а также разработку семейного плана эвакуации и коммуникации.
В современном мире системы предупреждения и безопасности играют важную роль в защите населения от смерчей, ураганов и торнадо. Однако, необходимо помнить, что эти силы природы могут быть непредсказуемыми и опасными, поэтому соблюдение правил безопасности и готовность к действию — ключевые факторы в минимизации рисков и сохранении жизни и имущества.
Самые мощные ураганы и тайфуны
1780 год. Ураган «Санкт-Каликсто», Карибский архипелаг. Вой ветра заглушал голоса людей. Деревья вырывались с корнями, ветер снимал с них кору. 19 кораблей были разбиты возле острова Гренада. Стихия передвигала по палубе даже тяжелые пушки. Возле острова Сент-Люсии британский флот был разбит в щепки. Всего погибло 27 тысяч человек.
1900 год. Штат Техас. Ураган «Галвестон». Ветер дул со скоростью 215 километров в час. Погибли 6000 человек, были разрушено 3600 домов.
Август 1969 года. Ураган «Камилла». Локация стихии – Куба и Мексиканский залив. Скорость ветра достигала 310 километров в час, высота волн – 7,3 метра. Причиненный ущерб – 9,34 миллиарда долларов.
1970 год. Ураган «Бхола» прошелся по Бангладеш и Индии. Погибли до 500 тысяч человек.
1975 год. Тайфун «Нина». Прошелся по Китаю. Погибло до 239 тысяч человек.
Но хватит страшных картинок, Тем более, что все они похожи друг на друга. Поэтому далее мы просто перечислим вторую пятерку самых разрушительных ураганов и сообщим последствия, к которым они привели.
1998 год Ураган «Митч». Он прошел по территориям Гондураса, Сальвадора и Никарагуа. Скорость ветра достигала 280 километров в час. Погибли 11 тысяч человек, 3 миллиона остались без крова.
2005 год. Ураган «Катрина». Он затопил 80% Нового Орлеана. Погибли 1836 человек, полмиллиона лишились своих домов. Ущерб составил 80 миллиардов долларов.
2008 год. Ураган «Айк». Скорость ветра достигала 140 километров в час. Убытки составили 30 миллиардов долларов.
2013 год. Тайфун «Йоланда». Скорость ветра достигала 389 километров в час. Пострадали Вьетнам и Филиппины. Погибло 8 тысяч человек. Своего жилья лишились 11 миллионов человек.
В чем разница между торнадо и смерчем
Часто в средствах массовой информации можно увидеть такие термины как «смерч» и «торнадо». Но в чем разница между смерчем и торнадо, многие люди не знают.
Смерч – что это такое?
Смерч – это природное явление, которое образуется в результате проникновения потоков холодного воздуха в теплые слои атмосферы (верхнюю часть суши или водной поверхности).
Случается достаточно редко и обычно в определенных регионах земли, таких как Карибский бассейн, Тихий океан и т.д.
Наиболее мощные вихревые потоки находятся по краям смерча, и пока температурный режим не придет в норму, он не прекратится. Во время своего перемещения он будет поднимать, и засасывать в центр вихревого потока с поверхности земли все предметы, находящиеся на его пути, включая здания, сооружения и автомобили.
Торнадо – что это такое?
Торнадо спускается вниз, формируясь из грозовых облаков и головокружительных потоков холодных воздушных масс. В таких облаках происходит сильное вращение воздуха, которое часто называют «суперячейками». Опускаясь на поверхность суши, они образуют торнадо.
Бывают намного чаще, чем смерчи. При этом торнадо могут появиться в любой части земли, за исключением горных районов и полярного круга. Очень часто они возникают в странах Америки (примерно 30 раз в год), в Бразилии и Китае.
На территории России бывают не чаще 1-2 раз в год.
Что опаснее торнадо или смерч?
Обычному человеку тяжело увидеть разницу между этими двумя смертоносными природными явлениями. В основном скорость торнадо намного меньше (примерно 180 км/ч), чем скорость смерча, поэтому оно считается менее разрушительным и опасным. Кроме этого торнадо длится намного меньше, чем смерч.
Большинство метеорологов считают эти явления идентичными и не делают между ними различий. Многие специалисты говорят, что ответ кроется в происхождении названий. Так, например слово «торнадо» в переводе с испанского означает «вращать», «кружить», американцы называют его «твистером», европейцы «тромбом».
В древней Руси слово «смерч» означало «облако» и ним называли небольшие вертикальные изогнутые вихри, которые образовывались под облаками. Но по своей сути это одинаковые явления природы, которые связаны с температурными изменениями и образованием потоков воздушных масс на определенных участках суши.
Действия населения при угрозе смерча
Смерч − это природное явление, которое возникает в грозовом облаке, затем образуя воронку диаметром в десятки, а иногда и сотни метров, спускается вниз до земли.
О формировании воздушной воронки могут свидетельствовать следующие природные явления:
- Усиление ветра при появлении грозового неба;
- Резкое снижение атмосферного давления, которое вызывает у человека тошноту, вялость, головную боль;
- Резкое обильное выпадение осадков (ливень, снег), поднятие грунтовой пыли;
- Сильный гул.
Смерч не всегда сопровождается ухудшением погоды, иногда это явление возникает на фоне солнечного и безоблачного неба.
Современное метеооборудование способно заранее выявлять стихийное явление, поэтому о приближении смерча население предупреждается с помощью СМИ, а также с применением систем оповещения гражданской обороны.
Звук электросирен сопровождается устными сообщениями: «Внимание всем!», «Угроза смерча». Если принято решение об эвакуации, то в оповещении передается информация о местах нахождения эвакуационных пунктах сбора гражданского населения. При получении предупреждения
При получении предупреждения
Услышав звуковые сигналы, следует взять документы, минимум необходимых вещей и направиться к месту эвакуации.
Если позволяет время, то рекомендуется сделать следующие действия (алгоритм):
- Закройте окна. По возможности укрепите их досками, фанерами или щитами;
- Уберите с балкона легко воспламеняющие предметы;
- При наличии прилегающей территории, максимально освободите ее от незакрепленных предметов (скамейки, качели);
- Не забудьте укрепить крышу, чердак и вентиляционные трубы;
- Создайте запас продуктов и питьевой воды длительного хранения на 2-3 суток;
- Позаботьтесь о наличии автономных источниках освещения (фонари, генераторы, свечи). Упакуйте запас батареек и спичек в непромокаемый материал;
- Сообщите членам семьи и соседям о приближении природной угрозы.
Если вы поздно услышали сообщение о смерче, и эвакуация невозможна, то позаботьтесь о своей безопасности самостоятельно.
В здании
Если стихия застала вас в здании:
Выберите для укрытия внутренние помещения. Наиболее безопасными считается ванная комната, уборная, коридор, кладовые, дверные проёмы. Также укрытием могут служить встроенные прочные шкафы и тяжелые столы, закрепленные к полу. Если вы находитесь в деревянном здании, то безопаснее будет спуститься вниз – в подвал.
Обязательно обесточьте все электрические предметы, перекройте газовое оборудование. Для получения информации от органов ГО по чрезвычайным ситуациям используйте радиоприёмник.
На улице
Если вы столкнулись со смерчем на улице населённого пункта:
Пытайтесь держаться подальше от лёгких построек, деревьев, стендов, вывесок, мостов и линий электропередач. Наиболее опасны переносимые смерчем предметы, которые падёт на землю с высокой скоростью. Для защиты используйте подручные средства: лист фанеры, коробку, доски.
Не паникуйте, и ищите себе место, где можно переждать смерч. Не стремитесь спрятаться в поврежденных зданиях или на промышленных объектах, так как они могут взорваться или полностью разрушиться при очередном усилении ветра.
В крупном населённом пункте ищите станции метро или подземные переходы. Они станут надёжной зашитой от смерча.
На открытой местности
Если вы находитесь на открытой местности (поле, равнина, горная местность):
Ищите земляные углубления: канавы, рвы, дорожный кювет, овраги. Лягте в него, плотно прижавшись лицом к земле. Обязательно накройте голову одеждой, сумкой. В ситуации смерча автомобиль не станет надёжной защитой. Оставаться в нём опасно. Выйдите из него и защитите себя, как описано выше.
При поднятии пыли, защитите глаза и органы дыхания любым куском ткани. Можно предварительно его смочить водой. Нередко смерч сопровождается крупным ливнем или градом, поэтому максимально пытайтесь закрыть свое тело от природной стихии. Держитесь подальше от водоёмов, так как смерч способен всасывать большое количество воды, а потом резко сбрасывать её единым залпом с огромной скоростью.
Это интересно: Огнезащитные пасты — назначение, виды и область применения
Причины возникновения ураганов
Неизменным месторождением этого явления ученые называют океан, а именно те участки, которые расположены в тропиках. Вероятность возникновения урагана возрастает с приближением к экватору. Причин для его появления много. Ею может быть, например, сила, с которой вращается наша планета, или перепады в температуре между слоями атмосферы, или разница в атмосферном давлении. Но эти процессы могут и не стать началом зарождения урагана. Еще одним из главных условий формирования тайфуна является определенная температура подстилающей поверхности, а именно воды. Она не должна быть ниже 27 градусов по Цельсию. Это показывает, что для того чтобы сформировался ураган на море, нужна совокупность благоприятных факторов.
Категории ураганов
Наверняка вы когда-нибудь слышали этот «ураган 5 категории». Что такое категории ураганов на самом деле? Это способ измерения силы и разрушительной силы ураганов. Они разделены на пять категорий и заключаются в следующем:
Категория 1

- Скорость ветра от 118 до 153 километров в час.
- Минимальный ущерб, в основном деревья, растительность, мобильные дома или трейлеры, которые не закреплены должным образом.
- Полное или частичное разрушение ЛЭП или плохо установленные знаки. Волны на 1.32–1,65 метра выше нормы.
- Незначительные повреждения доков и причалов.
Категория 2

- Скорость ветра от 154 до 177 километров в час.
- Значительный ущерб деревьям и растительности. Обширный ущерб передвижным домам, знакам и незащищенным линиям электропередач.
- Частичное разрушение крыш, дверей и окон, но незначительный ущерб конструкциям и зданиям.
- Волны от 1.98 до 2,68 метра выше нормы.
- Дороги и тропинки возле вещей затоплены.
- Значительный ущерб пирсам и пирсам. Причалы затоплены, а суда меньшего размера выходят из строя на открытых площадках.
- Эвакуация жителей равнин в прибрежные районы.
Категория 3

- Скорость ветра от 178 до 209 километров в час.
- Значительный ущерб: повалены большие деревья, а также знаки и знаки, которые не установлены прочно.
- Повреждение крыш зданий, дверей и окон, а также конструкций небольших зданий. Разрушены передвижные дома и караваны.
- Волны на 2,97–3,96 метра выше нормы и наводнения на обширных участках прибрежных территорий с обширными разрушениями построек вблизи побережья.
- Крупные сооружения у побережья серьезно повреждены натиском волн и плавающего мусора.
- Равнины на высоте 1,65 метра или менее над уровнем моря затопляют более 13 км вглубь суши.
- Эвакуация всех жителей прибрежных районов.
Категория 4

- Скорость ветра от 210 до 250 километров в час.
- Чрезвычайный ущерб: деревья и кусты сдувает ветер, а знаки и знаки сорваны или уничтожены.
- Значительные повреждения крыш, дверей и окон. Тотальный обвал крыш в маленьких домах.
- Большинство передвижных домов разрушено или серьезно повреждено. – Волны от 4,29 до 5,94 метра выше нормы.
- Равнины на высоте 3,30 метра или менее затопляются на глубину до 10 км вглубь суши.
- Массовая эвакуация всех жителей в районе около 500 метров от берега, а также на низинах, до трех километров вглубь суши.
Категория 5

- Ветры более 250 километров в час
- Катастрофический ущерб: деревья и кустарники полностью смыты ветром и вырваны с корнем.
- Серьезные повреждения крыш зданий. Рекламу и вывески срывают и сдувают.
- Полное обрушение крыш и стен небольших жилых домов. Большинство передвижных домов разрушено или серьезно повреждено.
- Набухание на 4,29 – 5,94 метра выше нормы.
Благодаря этой информации вы сможете лучше узнать различия между торнадо и ураганом а также его характеристики. Из-за изменения климата эти явления станут более частыми и интенсивными, поэтому желательно быть в курсе о них.
Меры безопасности при встрече с смерчем или торнадо
Смерчи и торнадо — это крайне опасные природные явления, которые могут вызывать разрушительные последствия. При встрече с ними необходимо соблюдать определенные меры безопасности, чтобы минимизировать риски для жизни и здоровья.
- Ищите укрытие в помещении. Попытайтесь найти крепкое здание, такое как дом или здание с железобетонными стенами и крышей. Избегайте окон и стеклянных поверхностей, которые могут разбиться при сильном ветре.
- Если укрытие в помещении недоступно, найдите низкое и впишитесь укрытие. Избегайте открытых мест, таких как поля и парки. Ложитесь лицом вниз на землю и прикройтесь руками и шейкой. Избегайте ложиться в низины или канавы, где может образоваться сток воды.
- Если вы находитесь в автомобиле, остановитесь в безопасном месте, подальше от деревьев и других высоких объектов. Повторяйте максимально продолжительное время в машине и низкой позиции.
- Избегайте открытых мест и приморских районов, если вы находитесь вблизи водоемов. Смерчи могут возникать над водой и перемещаться на сушу.
- Следите за информацией о погодных условиях и эвакуационных инструкциях, если таковые доступны. Используйте портативное радио или смартфон для получения информации от местных служб спасения.
- Подготовьте набор для выживания, включающий питьевую воду, пищу, медикаменты, светильники, документы и другие необходимые предметы. Стоит также иметь при себе аптечку и контактные телефоны для связи с близкими.
- После прохождения смерча или торнадо, будьте осторожны при осмотра разрушенных объектов. Избегайте поврежденных проводов электропитания и других опасных ситуаций.
Самое главное в случае встречи с смерчем или торнадо — это сохранение жизни и здоровья. Следуйте указанным мерам безопасности и не рискуйте своей жизнью. В случае чрезвычайной ситуации, вызывайте экстренные службы и следуйте их указаниям.
Что такое торнадо и как он формируется?
Торнадо являются самыми сильными среди этих погодных явлений и печально известны ими. разрушительная способность. Давайте рассмотрим их характеристики, как они образуются и чем они отличаются от торнадо.
Как формируется торнадо
Для формирования торнадо требуется определенное сочетание погодных условий:
- нестабильность атмосферы: Теплый влажный воздух у земли и холодный воздух на больших высотах.
- Вознесение горячего воздуха: Формирование мощных грозовых облаков.
- Вращение: Возникает из-за различий в скорости и направлении ветра на большой высоте.
- организация: Вращение превращается в быстро вращающийся столб воздуха.
- Контакт с землей: Воздушный столб касается земли, превращаясь в видимый торнадо.
Характеристики торнадо
Торнадо имеет сходные характеристики с торнадо, но обычно крупнее и мощнее. Может длиться больше часа и путешествовать на дальние расстояния с размеры, которые могут достигать до 1 км в диаметре.
Торнадо имеют несколько отличительных характеристик:
- Скорость ветра: Ветры внутри торнадо могут достигать скорости от 60 до более 300 км/ч.
- Диаметр: Диаметр торнадо может варьироваться от нескольких метров до более чем километра.
- Форма: Торнадо могут принимать различные формы, от классической формы воронки до более неправильных конфигураций.
- Маршрут: они могут двигаться по прямым или извилистым путям, преодолевая расстояния от нескольких километров до более 100 километров.
- Продолжительность: продолжительность торнадо может составлять несколько минут или более часа.
В чем разница между торнадо и вихрем
Термин торнадо относится к более крупным и интенсивным явлениям, чем торнадо. Они особенно распространены в Соединенных Штатах, где достигают уникальной интенсивности и величия.
Классы и типы торнадо
Торнадо классифицируют по шкала Фудзита, в диапазоне от F0 (самый слабый) до F5 (самый сильный). Эта классификация помогает понять разрушительный потенциал торнадо.
Вот полная шкала:
- F0: Слабый, с небольшим уроном.
- F1: Умеренный, со значительными повреждениями.
- F2: Сильный, с обширными повреждениями.
- F3: Серьезный, с серьезными повреждениями.
- F4: Разрушительный, с разрушительным уроном.
- F5: Невероятно, с повреждениями, способными полностью разрушить любую инфраструктуру, потенциально катастрофическими.
Какие торнадо самые разрушительные
Торнадо категории F5 являются наиболее разрушительными, при скорости ветра более 300 км/ч. У них есть способность сносить целые здания и выкорчевывать даже очень большие деревья.
Повреждения, вызванные столкновением с торнадо
Торнадо могут вызвать чрезвычайно серьезный ущерб к сооружениям, растительности и инфраструктуре. Подготовка и осведомленность необходимы для защиты жизни и имущества.
Прогноз погоды, системы оповещения и планирование на случай непредвиденных обстоятельств могут спасти жизни, и именно поэтому они существуют в Соединенных Штатах. системы предупреждения о торнадо и аварийные убежища.
Что такое ураган и чем он опасен?
Сколько живет человечество, столько оно пытается покорить стихию, ведь многие природные явления несут за собой страх, материальные убытки, а иногда даже смерть. Одним из наиболее частных и опасных катаклизмов на нашей планете является ураган.
На своем пути он сносит деревья, здания, уничтожает дороги и мосты, оставляет после себя разгром и пожары. Откуда же берутся ураганы и как уберечь свою жизнь от их разрушительной силы?
Что такое ураган и откуда он приходит?
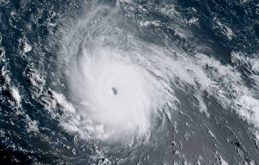
Ураган – это тропический циклон, возникающий над теплой поверхностью океана и сопровождающийся сильными ливнями, шквальными ветрами и грозой. Появляется он в том случае, когда влажный и теплый воздух соприкасается с холодными атмосферными массами большого объема. В результате над океаном образуется воронка с так называемым «глазом» в центре – под этим глазом царит теплая и спокойная погода, а вокруг бушуют ветры со скоростью 117 км/час и более.
Все ураганы приходят с моря, а, попадая на сушу, довольно быстро рассеиваются, нанося перед этим значительный урон. Большинство циклонов формируется в экваториальном поясе или в тропических широтах (не далее 20 градусов от экватора).
В Атлантике ураганы чаще всего случаются в период с июня по ноябрь с пиком в конце августа – сентябре, в северо-западной части Тихого океана шторма могут возникать на протяжении всего года, достигая своей максимальной силы в начале осени.
Чем опасен ураган для человека?
За последние два столетия при ураганах погибло около 1,9 миллиона человек, а убытки составили миллиарды долларов. Только в одном Новом Орлеане в 2005 году ураган «Катрина» унес жизни более 1800 горожан и затопил 80 % городской территории. Большую опасность во время ураганов представляют штормовые ветры, которые по достижении скорости 70 м/с способны сносить даже капитальные здания. Но максимальный эффект по количеству жертв достигается штормовыми приливами, при которых морская вода поднимается на высоту до 6 метров и заливает огромные прибрежные участки.
Тропические ливни, объем которых достигает нескольких сантиметров в час, способны привести к наводнениям, а в горных районах – вызвать масштабные оползни. Ураган «Митч» (третий по силе в Атлантике за последние 250 лет) в 1998 году привел к смерти более 1000 человек, причем многие из них погибли в результате паводка.
После тропических ливней в низинах и оврагах появляются участки стоячей воды, что в условиях тропического климата способствует распространению микробов и, как следствие, инфекционным болезням.
Что нужно делать, если начался ураган?
Предупреждение о предстоящем явлении обычно передается заранее по радио и телевидению, поэтому желательно сразу же закрыть все окна и двери, по возможности защитить стекла на окнах деревянными щитами или ставнями, а с придомовой территории убрать все предметы, которые может подхватить воздушный поток. В обязательном порядке следует перекрыть газовые краны, закрыть вентиляции, отключить электричество, сделать запас воды и питания.
С началом урагана нужно прихватить с собой съестные припасы и спуститься в подвал, а если такового нет, то разместиться в безопасных местах – в коридорах, помещениях в средней части дома или, на крайний случай, в шкафах и стеновых нишах. Если ураган застиг вас на улице, старайтесь не прятаться под деревьями и не останавливаться возле зданий, линий электропередачи или рекламных щитов. Лучшие места для укрытия на улице – между опорами железобетонных мостов, в ямах и любых других углублениях.
Чем ураган отличается от смерча?
Смерч – это вихрь в атмосфере, возникающий внутри облака и опускающийся на землю в виде воронки диметром до сотен метров. Принципиальное различие между ураганом и смерчем заключается прежде всего в масштабах.
Если ураганные ветры могут охватывать территории до 8 и более градусов широты, то вихри в своем нижнем сечении достигают обычно не больше 300–400 метров. Кроме этого, смерчи в большинстве случаев возникают на тех территориях, где уже есть гроза с темными воронкообразными тучами.
Чем ураган отличается от торнадо?
В целом торнадо и смерч – идентичные явления, поэтому их различия с ураганом практически одинаковы. Разница только в том, что торнадо чаще всего имеют форму хобота или бечевой веревки и возникают обычно в северном полушарии – на территории Америки.
Свое название они получили благодаря испанским колонизаторам от слова tornado, что означает «вращающийся», и в отличие от ураганов разрушают все на своем пути.
Торнадо и смерч: общие черты и различия
Одно из главных различий между торнадо и смерчом — это место, где они обычно образуются. Торнадо формируются при взаимодействии холодного воздуха с теплым воздухом, их происхождение нередко связано с грозами и грозовыми тучами. Смерчи, напротив, чаще всего образуются на водных поверхностях, таких как моря, озёра или реки. Вода, испарявшаяся из водных поверхностей, образует туман, который в воздушных потоках вырабатывает вращательное движение, создавая смерч.
Кроме того, смерчи и торнадо имеют различную масштабность и интенсивность. Торнадо, в большинстве случаев, значительно меньше по размеру, чем смерчи и имеют более высокие скорости вращения. Например, сильнейшие торнадо могут достигать ширины всего нескольких десятков метров, но при этом иметь скорость вращения ветра до 500 км/ч. Смерчи, в свою очередь, могут быть гораздо более масштабными по размеру, достигая сотен и даже тысяч метров, но, обычно, их скорость вращения ветра ниже, чем у торнадо.
Важной особенностью, характерной для торнадо, является их кратковременность. Торнадо обычно проявляются как кратковременные события и имеют продолжительность несколько минут или даже несколько секунд
В то же время, смерчи могут сохраняться на протяжении более продолжительного времени — от нескольких минут до нескольких часов.
Однако, несмотря на все существующие различия, торнадо и смерчи имеют и некоторые общие черты. Оба явления вращаются вокруг вертикальной оси и способны наносить огромный ущерб окружающей среде и постройкам. Кроме того, они могут вызывать сильные вихревые ветры, сопровождаемые ливневыми дождями и грозами.
Смерч, ураган и торнадо: определение и принципы образования
Смерч, ураган и торнадо — это атмосферные явления, проявляющиеся в виде мощных вращающихся вихрей воздуха. Они часто сопровождаются сильным ветром, грозой и осадками.
Однако есть определенные различия между этими явлениями:
- Смерч — это маленький, кратковременный вихрь, образующийся в атмосфере и касающийся земной поверхности. В основном смерчи образуются над сушей, вблизи горячих мест или вблизи морей и озер. Они часто возникают в периоды активности гроз и могут наносить значительный ущерб. Смерч может иметь диаметр от нескольких метров до сотен метров.
- Ураган — это мощный и продолжительный циклонический вихрь в тропической атмосфере. Ураганы образуются над теплыми океанскими поверхностями и могут распространяться на сотни километров. Они сопровождаются сильными ветрами (от 120 км/ч и выше), обильными осадками и возможными наводнениями. Ураганы имеют характерную спиральную форму и могут привести к разрушительным последствиям.
- Торнадо — это мощный вихрь воздуха, образующийся в атмосфере и касающийся земной поверхности. Торнадо образуется в результате сильных конвективных потоков в атмосфере, часто во время грозы. Они имеют форму воронки и способны разрушать все на своем пути. Торнадо обычно имеет диаметр несколько сотен метров и продолжительность несколько минут.
Образование смерчей, ураганов и торнадо связано с нестабильностью атмосферы и наличием грозовых облаков. В некоторых случаях взаимодействие горизонтальных и вертикальных потоков воздуха приводит к образованию вращающегося вихря. Когда воздух начинает перемещаться быстрее и подниматься, происходит усиление циклонического вращения вихря и образование смерча, урагана или торнадо.
| Явление | Размеры | Продолжительность | Место образования |
|---|---|---|---|
| Смерч | Несколько метров до сотен метров в диаметре | Несколько минут до часа | Над сушей или вблизи морей и озер |
| Ураган | Сотни километров в диаметре | Несколько дней | Над теплыми океанскими поверхностями |
| Торнадо | Несколько сотен метров в диаметре | Несколько минут | Над сушей во время грозы |
В общем, смерчи, ураганы и торнадо — это различные типы вращающихся воздушных вихрей, которые образуются в атмосфере. Они имеют свои характерные размеры, продолжительность и место образования
Понимание принципов образования этих явлений важно для их прогнозирования и принятия мер по защите населения и имущества от их разрушительного воздействия

























